Dieses forum ist nur für Teamers und Teaming Managers dieser Gruppe.

Update zum Projekt

Alba Corrales Muñoz
Alba Corrales Muñoz

Teaming-Manager

am 31/10/2021 um 18:03h

SEGUIMIENTO DEL 27 DE OCTUBRE:
La reducción de la dosis de Urbason me está yendo bastante bien. Y mis ojos se mantienen sin legañas feas. Mi peso es casi el doble que hace un año cuando comencé a ir al Hospital Felino. Así que vamos a continuar con el mismo tratamiento a ver si sigue creciendo el pelo en las zonas que faltan.


Comparte

Dieses forum ist nur für Teamers und Teaming Managers dieser Gruppe.

Update zum Projekt

Alba Corrales Muñoz
Alba Corrales Muñoz

Teaming-Manager

am 14/10/2021 um 18:35h

SEGUIMIENTO DEL 13 DE OCTUBRE:
En la revisión del 10 de octubre la veterinaria nos comentó que podíamos empezar a reducir la dosis de Urbason. Y nos hemos puesto en contacto con el Hospital Felino para informar del comienzo de la reducción. El resto de medicación continúa igual. El próximo email de seguimiento será en función de cómo me afecte el cambio de dosis. Esperamos que poco a poco pueda ir quitando los comprimidos de Urbason de mi tratamiento.


Comparte

Dieses forum ist nur für Teamers und Teaming Managers dieser Gruppe.

Update zum Projekt

Alba Corrales Muñoz
Alba Corrales Muñoz

Teaming-Manager

am 09/10/2021 um 12:35h

REVISIÓN DEL 10 DE OCTUBRE:
Hemos ido al Hospital Felino para la consulta de seguimiento presencial. Allí me han hecho un test de fluoresceína para revisar mis ojos. Han comprobado que no hay úlceras en mis córneas y que los lagrimales funciona correctamente. También nos han dicho que mi piel van muy bien y he cogido peso. La humana va a ponerme el colirio Tobrex solo un par de días más y continuamos con el demás tratamiento.
Ahora me toca descansar después de la visita al veterinario.


Comparte

Dieses forum ist nur für Teamers und Teaming Managers dieser Gruppe.

Update zum Projekt

Alba Corrales Muñoz
Alba Corrales Muñoz

Teaming-Manager

am 09/10/2021 um 12:21h

SEGUIMIENTO DEL 7 DE OCTUBRE:
Hemos enviado de nuevo una foto al Hospital Felino (como la de este comentario), porque parecía que estaba mejorando con el colirio Tobrex, pero he vuelto a amanecer con la legaña de mal aspecto en mi ojo izquierdo. Así que como no han desaparecido del todo, la siguiente consulta será presencial para revisar mis ojos.


Comparte

Dieses forum ist nur für Teamers und Teaming Managers dieser Gruppe.

Update zum Projekt

Alba Corrales Muñoz
Alba Corrales Muñoz

Teaming-Manager

am 30/09/2021 um 22:33h

SEPTIEMBRE de 2021:
17/9 -> Seguimiento por email. Ojos y piel continúan bien. Quitar pomada de ciclosporina y colirio de los ojos. Seguir con Urbason, Gabapentina y Apoquel.
30/9 -> Seguimiento por email. Ojo izquierdo con legañas de mal aspecto. Parece conjuntivitis, poner gotas de colirio Tobrex varios días. Si no desaparecen las legañas, ir a consulta presencial.


Comparte

Dieses forum ist nur für Teamers und Teaming Managers dieser Gruppe.

Update zum Projekt

Alba Corrales Muñoz
Alba Corrales Muñoz

Teaming-Manager

am 30/09/2021 um 22:31h

SEGUIMIENTO DEL 30 DE SEPTIEMBRE:
He empezado a tener legañas con mal aspecto en mi ojo izquierdo, así que le hemos enviado fotos al Hospital Felino como la de este comentario. Nos dicen que parece conjuntivitis y ahora la humana me tiene que poner gotas de colirio Tobrex varios días. Si no desaparecen las legañas, tendremos que ir a consulta presencial. Esperamos que la conjuntivitis se quite.


Comparte

Dieses forum ist nur für Teamers und Teaming Managers dieser Gruppe.

Update zum Projekt

Alba Corrales Muñoz
Alba Corrales Muñoz

Teaming-Manager

am 22/09/2021 um 21:39h

SEGUIMIENTO DEL 17 DE SEPTIEMBRE:
De nuevo el seguimiento ha sido por email con envío de fotos. Mis ojos están bastante recuperados, así que la humana ya ha dejado de ponerme la pomada de ciclosporina y el colirio en los ojos. Y la piel sigue por buen camino, por tanto seguimos con las mismas dosis de Urbason, Gabapentina y Apoquel, y con el collar puesto la mayor parte del tiempo.


Comparte

Dieses forum ist nur für Teamers und Teaming Managers dieser Gruppe.

Update zum Projekt

Alba Corrales Muñoz
Alba Corrales Muñoz

Teaming-Manager

am 01/09/2021 um 13:12h

AGOSTO de 2021:
5/8 -> Seguimiento por email. Ojos y piel continúan bien. Mismo tratamiento.
30/8 -> Seguimiento por email. Ojos y piel continúan bien. Mismo tratamiento.


Comparte

Dieses forum ist nur für Teamers und Teaming Managers dieser Gruppe.

Update zum Projekt

Alba Corrales Muñoz
Alba Corrales Muñoz

Teaming-Manager

am 31/08/2021 um 16:34h

SEGUIMIENTO DEL 30 DE AGOSTO:
Seguimos sin novedades. Volvimos a enviar nuevas fotos por email para el seguimiento con el Hospital Felino y tanto mis ojos como mi piel continúan bien, así que ningún cambio en el tratamiento.


Comparte

Dieses forum ist nur für Teamers und Teaming Managers dieser Gruppe.

Update zum Projekt

Alba Corrales Muñoz
Alba Corrales Muñoz

Teaming-Manager

am 06/08/2021 um 20:48h

SEGUIMIENTO DEL 5 DE AGOSTO:
Enviamos de nuevo fotos por email para el seguimiento con el Hospital Felino. Mis ojos y mi piel continúan bien, así que continuamos con el mismo tratamiento.


Comparte

Dieses forum ist nur für Teamers und Teaming Managers dieser Gruppe.

Update zum Projekt

Alba Corrales Muñoz
Alba Corrales Muñoz

Teaming-Manager

am 06/08/2021 um 20:44h

JULIO de 2021:
1/7 -> Seguimiento por email. Ojos evolucionan bien. Ya no hay herida en el cuello. Quitar pomada Celestoderm. Continuar con demás tratamiento.
9/7 -> Ida y vuelta en Uber a Hospital Felino para revisión. Tanto ojos como piel van muy bien. Reducción de dosis de Urbason y de Gabapentina. Continuar con lo demás. Ir quitando el collar.
21/7 -> Seguimiento por email. Ojos y piel continúan bien. Mismo tratamiento.


Comparte

Dieses forum ist nur für Teamers und Teaming Managers dieser Gruppe.

Update zum Projekt

Alba Corrales Muñoz
Alba Corrales Muñoz

Teaming-Manager

am 27/07/2021 um 19:23h

SEGUIMIENTO DEL 21 DE JULIO:
Enviamos fotos por email para el seguimiento con el Hospital Felino. Mis ojos y mi piel continúan bien. La reducción de la medicación parece que funciona, así que continuamos con el mismo tratamiento. Me he rascado un poco más que antes, de forma leve y sin consecuencias, pero la humana ha reducido mis momentos sin collar. Y me va creciendo el pelito de las calvas, aunque despacio.


Comparte

Dieses forum ist nur für Teamers und Teaming Managers dieser Gruppe.

Update zum Projekt

Alba Corrales Muñoz
Alba Corrales Muñoz

Teaming-Manager

am 09/07/2021 um 09:34h

REVISIÓN DEL 9 DE JULIO:
Tanto mis ojos como mi piel van muy bien. Me han reducido la dosis de Urbason y la de Gabapentina. Continuamos igual con el Apoquel, el colirio y la pomada de ciclosporina. La humana ya puede empezar a quitarme el collar a ratos mientras esté vigilado. La próxima revisión será en función de cómo reaccione a la reducción de medicación, esperemos que vaya bien.


Comparte

Dieses forum ist nur für Teamers und Teaming Managers dieser Gruppe.

Update zum Projekt

Alba Corrales Muñoz
Alba Corrales Muñoz

Teaming-Manager

am 05/07/2021 um 16:30h

SEGUIMIENTO DEL 1 DE JULIO:
Otro seguimiento por email con el Hospital Felino con envío de fotos. Mis ojos continúan bien y ya no hay herida en el cuello. Así que la humana ya no me tiene que poner la pomada Celestoderm. No hay cambios en el resto del tratamiento, pero tenemos cita para consulta de revisión el viernes 9, a ver si pueden reducirme la medicación.


Comparte

Dieses forum ist nur für Teamers und Teaming Managers dieser Gruppe.

Update zum Projekt

Alba Corrales Muñoz
Alba Corrales Muñoz

Teaming-Manager

am 05/07/2021 um 16:21h

JUNIO de 2021:
11/6 -> Seguimiento por email. Ojos evolucionan bien. Aún hay lesión del cuello, pero poca. Continuar con la misma medicación.


Comparte

Dieses forum ist nur für Teamers und Teaming Managers dieser Gruppe.

Update zum Projekt

Alba Corrales Muñoz
Alba Corrales Muñoz

Teaming-Manager

am 05/07/2021 um 16:20h

SEGUIMIENTO DEL 11 DE JUNIO:
Continuamos con el seguimiento por email con el Hospital Felino enviando fotos. Los ojos van bien y la lesión del cuello también, pero como no termina de quitarse, la humana tiene que seguir poniéndome la crema. El resto del tratamiento también continúa igual.


Comparte

Dieses forum ist nur für Teamers und Teaming Managers dieser Gruppe.

Update zum Projekt

Alba Corrales Muñoz
Alba Corrales Muñoz

Teaming-Manager

am 06/06/2021 um 10:50h

MAYO de 2021:
4/5 -> Ida y vuelta en Cabify a Hospital Felino para revisión. Sedación para quitar los puntos, los plásticos que sujetan el párpado superior y el colgajo. Ojo izquierdo salvado, pero con malformación de la córnea, inflamado y con el tercer párpado fuera. Ojo derecho sigue avanzando. Cambiar colirio en ojo izquierdo al mismo que el derecho, Gentadexa, y aplicar pomada de ciclosporina. Disminución de intentos de rascado con comprimidos Apoquel. Aumento de peso.
11/5 -> Ida y vuelta en Uber a Hospital Felino para revisión. Recuperación de los ojos va bien: derecho aún con cicatriz por curar; en izquierdo la pupila reacciona a la luz, tiene visión y tercer párpado se va retirando. Quitar comprimidos Marbovet y reducción de dosis de Urbason. Ir quitando el collar a ratos.
17/5 -> Consulta por email por rascado en el cuello con pequeña herida. Volver a subir Urbason a dosis anterior.
25/5 -> Ida y vuelta en Uber a Hospital Felino para revisión. Recuperación de los ojos sigue bien. Disminución del picor, pero zona del cuello rascada no mejora: poner pomada Celestoderm con Gentamicina durante 3-4 días para evitar infección. Mantener puesto el collar isabelino. Próxima consulta según cómo avance el eccema del cuello.
29/5 -> Seguimiento por email de la eccema del cuello. Continuar con la pomada hasta que no quede nada de lesión.


Comparte

Dieses forum ist nur für Teamers und Teaming Managers dieser Gruppe.

Update zum Projekt

Alba Corrales Muñoz
Alba Corrales Muñoz

Teaming-Manager

am 06/06/2021 um 10:40h

SEGUIMIENTO DEL 29 DE MAYO:
Hicimos el seguimiento con el Hospital Felino por email y enviamos fotos de mi eccema del cuello. Nos respondieron que continuemos con la pomada hasta que no quede nada de lesión.


Comparte

Dieses forum ist nur für Teamers und Teaming Managers dieser Gruppe.

Update zum Projekt

Alba Corrales Muñoz
Alba Corrales Muñoz

Teaming-Manager

am 27/05/2021 um 19:18h

REVISIÓN DEL 25 DE MAYO:
Mis ojos siguen recuperándose bien. Con la subida del Urbason a la dosis anterior, me ha disminuido el picor y casi no me rasco, pero la zona del cuello en la que me hice la herida no mejora, así que la humana me va a poner pomada Celestoderm con Gentamicina durante 3-4 días para evitar infección. El resto de medicación sigue igual y tengo que volver a tener puesto el collar isabelino.
La próxima consulta presencial de revisión será según cómo avance el eccema del cuello con la pomada. De momento haremos el seguimiento por email.
Os dejo aquí una foto de lo a gusto que estaba en mi última siesta.


Comparte

Dieses forum ist nur für Teamers und Teaming Managers dieser Gruppe.

Update zum Projekt

Alba Corrales Muñoz
Alba Corrales Muñoz

Teaming-Manager

am 19/05/2021 um 10:23h

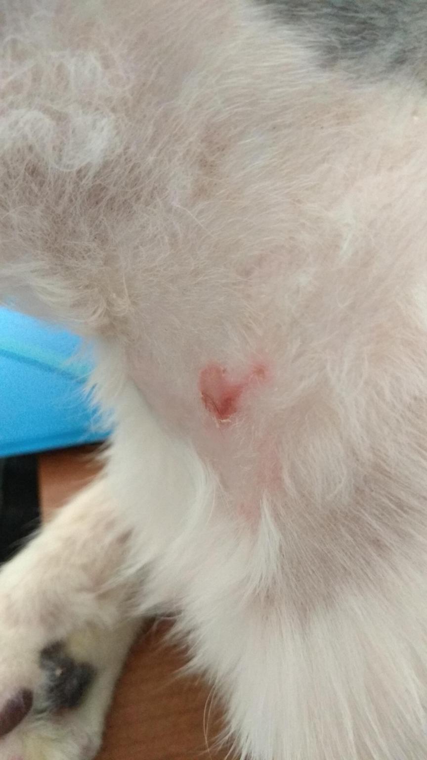
Hola a tod@s!
El lunes mi humana tuvo que ponerse en contacto con mis veterinarios porque llevaba dos días con intentos puntuales de rascarme y al final me hice una herida en el cuello (como veis en la foto). Pero me volvieron a subir el Urbason a la dosis anterior y de momento no me he vuelto a rascar. Ojalá siga así!!


Comparte

Dieses forum ist nur für Teamers und Teaming Managers dieser Gruppe.