Este foro sólo es para los Teamers y Teaming Managers del Grupo.

Para poder comentar:

Actualización de cómo va la causa

Leigh Pounder
Leigh Pounder

Teaming Manager

el 10/02/2026 a las 09:55h

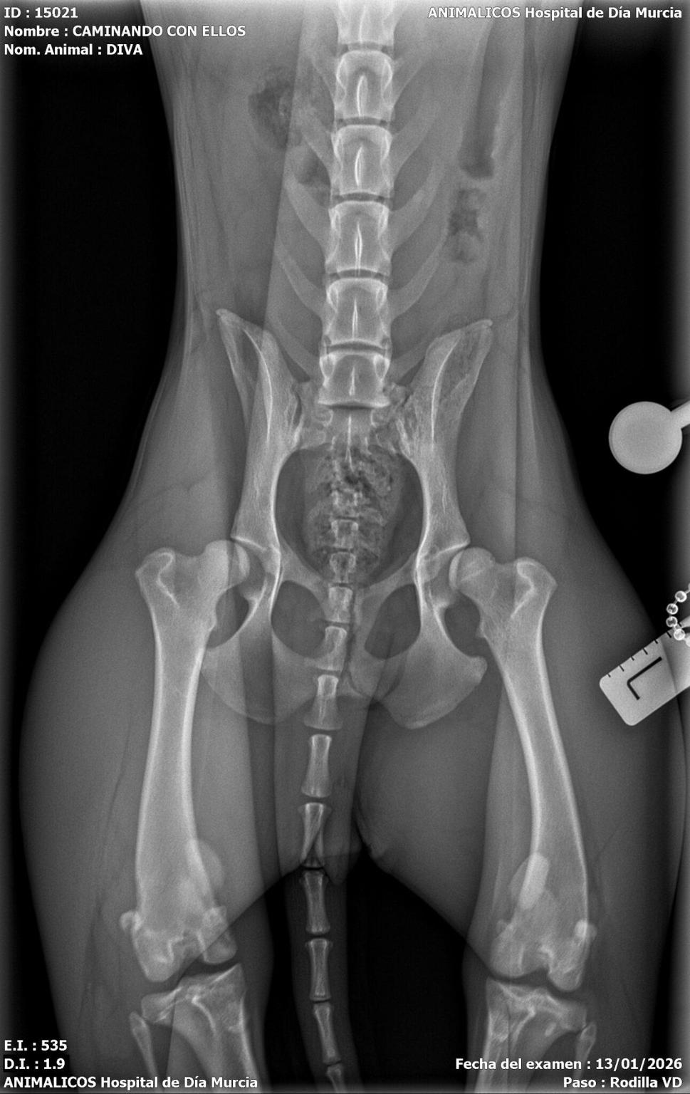
Here is Diva, the Xray picture was hers. We wish her good luck. She deserves it.


Comparte

Este foro sólo es para los Teamers y Teaming Managers del Grupo.

Para poder comentar:

Actualización de cómo va la causa

Leigh Pounder
Leigh Pounder

Teaming Manager

el 10/02/2026 a las 09:54h

Good morning our wonderful teamers. You may have been notified by email we withdrew funds yesterday. We have a beautiful little Staffy who was in desperate need of an operation. She’s called Diva and she is a sweetheart. She was in so much pain. We couldn’t let this continue. We will update on Facebook how she gets on. Thank you all so much for being teamers.


Comparte

Este foro sólo es para los Teamers y Teaming Managers del Grupo.

Para poder comentar:

Actualización de cómo va la causa

Leigh Pounder
Leigh Pounder

Teaming Manager

el 06/12/2023 a las 11:42h

Leigh Pounder Delete comment Leigh Pounder, Teaming Manager, Today at 11:29h
Good day teamers, just a quick update to say hi and welcome to our new members. Thank you so much for joining us. Please spread the word.
There are times we have the odd blip collecting the funds and the most common one is, the card used to sign up has expired. So if your bank sends you a new card, please update your details on teaming. Recommended way to pay is via bank IBAN number, as it doesn’t change unless you change banks.
The LIPS team are doing a Sterling job, getting as many dogs out for a walk as humanly possible, answering queries on messenger, getting info from the shelter and arranging adoptions. Lots going on in the background.
From team LIPS we wish you all a very Merry Christmas and a healthy and Happy New Year.


Comparte

Este foro sólo es para los Teamers y Teaming Managers del Grupo.

Para poder comentar:

Comentario

Leigh Pounder
Leigh Pounder

Teaming Manager

el 06/12/2023 a las 11:39h


Good day teamers, just a quick update to say hi and welcome to our new members. Thank you so much for joining us. Please spread the word.
There are times we have the odd blip collecting the funds and the most common one is, the card used to sign up has expired. So if your bank sends you a new card, please update your details on teaming. Recommended way to pay is via bank IBAN number, as it doesn’t change unless you change banks.
The LIPS team are doing a Sterling job, getting as many dogs out for a walk as humanly possible, answering queries on messenger, getting info from the shelter and arranging adoptions. Lots going on in the background.
From team LIPS we wish you all a very Merry Christmas and a healthy and Happy New Year.


Comparte

Este foro sólo es para los Teamers y Teaming Managers del Grupo.

Para poder comentar:

Comentario

1 comentario

Sally Kirby

Teamer

el 14/08/2023 a las 12:12h

Well done on all your hard work with all the wonderful dogs and cats. I am now a teamer!


Comparte

Leigh Pounder

Teaming Manager

el 27/09/2023 a las 18:16h

Thank you so much Sally

Este foro sólo es para los Teamers y Teaming Managers del Grupo.

Para poder comentar:

Actualización de cómo va la causa

1 comentario

Leigh Pounder
Leigh Pounder

Teaming Manager

el 24/03/2023 a las 15:19h

Hi Teamers.
You will have received notification we have withdrawn funds recently.
I thought I’d let you know specifically why.
Meet Willow.
Willow is an 8 month old pup who has developed immature cataracts. We can give him the chance of a loving home in the UK but his blindness is preventing that. His adopter has costed the operations he needs and the UK vets are quoting £6000 to £7000. His adopter is a widow on a limited income. So the obvious solution is to get him fixed here, we have a fixed quote for €2300 which includes all he needs in order to have his sight back. Then he can happily go on to lead a happy and fulfilled life in the UK..


Comparte

Karen (Gabby) Wells

Teamer

el 06/06/2023 a las 13:01h

Soooo happy to see him yesterday after his 2nd eye op. Just heartwarming to watch him noticing everything. Well done to his foster parents Jane and Gordon who have gone above and beyond, looking after him and all his after care to get this beautiful boy to his forever home. Well done everyone!

Este foro sólo es para los Teamers y Teaming Managers del Grupo.

Para poder comentar: