Gatos rurales,el sendero del gato

Gatos rurales,el sendero del gato

7  Teamers
122 € recaudados

Intentamos mejorar las condiciones de vida de los gatos abandonados en las zonas rurales . Alejadas de los núcleos. Aquí compartimos, experiencias, ayuda y futuras familias para nuestros Michis .

Destinamos la recaudación a:

gastos veterinario GATO CACHOPO

colonias rurales MICHIS_GUAYADEQUE

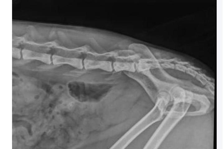
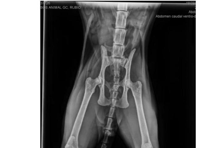
el dinero recaudado es para cubrir los gastos veterinarios de cachopo, actualmente 108€ próximamente resonancia magnética desconozco presupuesto. podeis ver la historia y actualizaciones de CACHOPO en el tablon de anuncios de mi grupo... ayudenme a ayudar a CACHOPO.


Publicado el
26/09/2024

Más información
Ver Documento

Actualizaciones

Sandra Rodriguez
Sandra Rodriguez
Teaming Manager

17/02/2026 17:36 h

despues de 20 días de duro trabajo hemos creado un refugio¡
en 4 meses hemos sacado en adopcion, 9 gatos adultos y 1 de 5 meses.

aún queda mucho por hacer.

quieres ser voluntario para vistar el refugio y realizar mantenimiento ? (arenero, comida humeda, limpiar platos)

Ver todo el comentario


0 Comentarios

Comenta

Ver todas las actualizaciones

Últimos comentarios

Sandra Rodriguez
Sandra Rodriguez
Teaming Manager

26/02/2026 23:14 h


I've been forced to change my name on social media because, in recent years, the average number of domestic cats abandoned in my colonies in the ravine has been between 6 and 9 per year.
My own name indicated the location of my colony, so I've had to change it to "EL SENDERO DEL GATO" (The Cat's Path). Thankfully, I've been able to find homes for them, except for one that I didn't get to in time to rescue and was hit by a car... I don't want to know how many others are abandoned and can't find my feeding stations....

Ver todo el comentario


0 Comentarios

Comenta

Sandra Rodriguez
Sandra Rodriguez
Teaming Manager

26/02/2026 23:12 h

Me he visto forzada a cambiar mi nombre en las redes sociales, porque en estos años la media de gatos domésticos abandonados en mis colonias del barranco son entre 6 y 9 gatos por año.
Mi propio nombre decía el lugar donde se encontraba mi colonia, por lo que he tenido que cambiarlo por ¨EL SENDERO DEL GATO¨
GRACIAS Y POR SUERTE he podido encontrar familia para ellos, excepto uno que no llegué a tiempo para recogerlo y me lo atropellaron... no quisiera saber cuales otros abandonan y no logran encontrar mis puntos de alimentación ....

Ver todo el comentario


0 Comentarios

Comenta

Ver todos los comentarios

Recaudado

Hemos recaudado hasta hoy:
122 €
Ver detalle de recaudaciones

Información

Fecha de publicación
31/08/2024

Ámbito
Defensa de los animales
Medioambiente
voluntariado

País
España

Provincia
Las Palmas

Comparte en tus redes sociales

Copia y pega la URL

https://www.teaming.net/gatosrurales-grupo